欢迎光临海原县人民政府门户网 登录个人中心 无障碍阅读 长者版
首页 政府信息公开 新闻中心 网上办事 政民互动 走进海原
行政许可结果公开

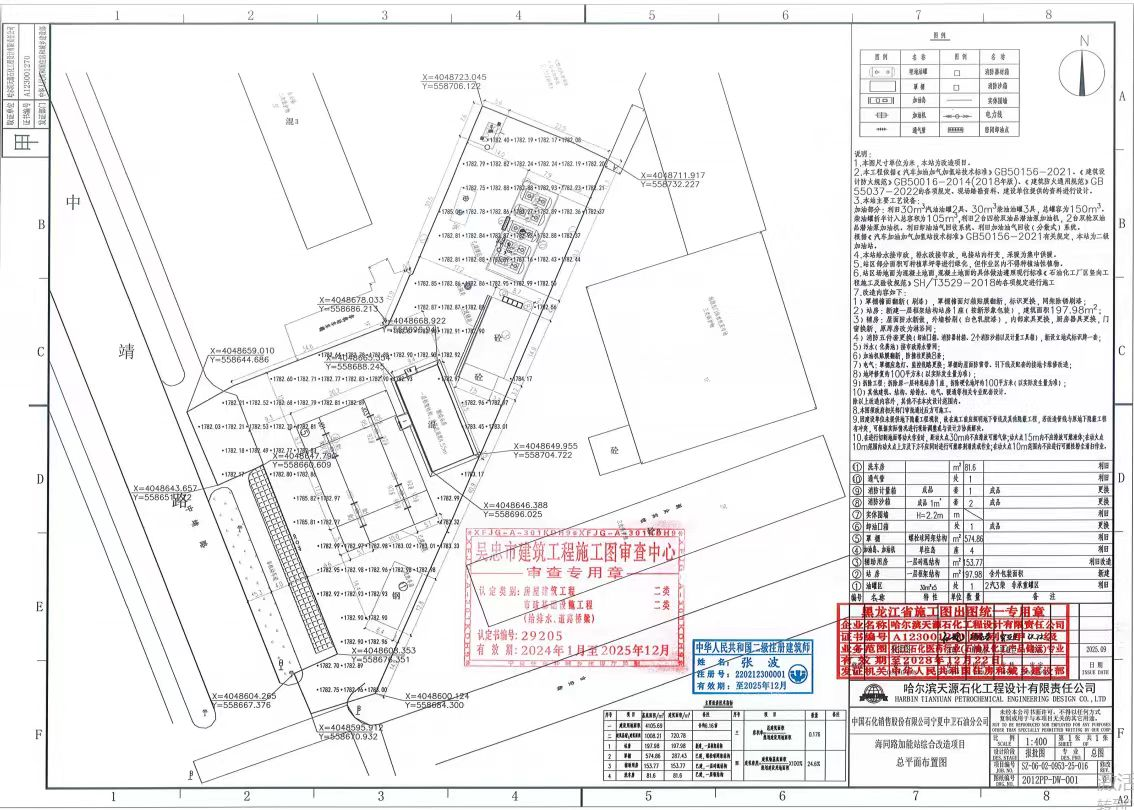
海原县自然资源局关于中国石化销售股份有限公司宁夏中卫石油分公司海原海同路加油站站房拆除重建项目规划批后公示

发表日期: 2025年09月26日 作者: 海原县自然资源局
来源: 海原县自然资源局

中国石化销售股份有限公司宁夏中卫石油分公司海原海同路加油站站房拆除重建项目位于海原县城中静路与吉安巷东北侧(原中石化海同路加油站院内),建设内容为新建站房地上一层框架结构,面积为197.98平方米。

该项目经审批,已于2025926日取得建设工程规划许可证,特此公示。



扫一扫在手机打开当前页
相关链接 国家及部委网站 各省区市政府网站 自治区各部门网站 宁夏各市县政府网站 中卫市各部门网站
返回顶部