锦绣君悦房地产开发项目规划许可批后公示
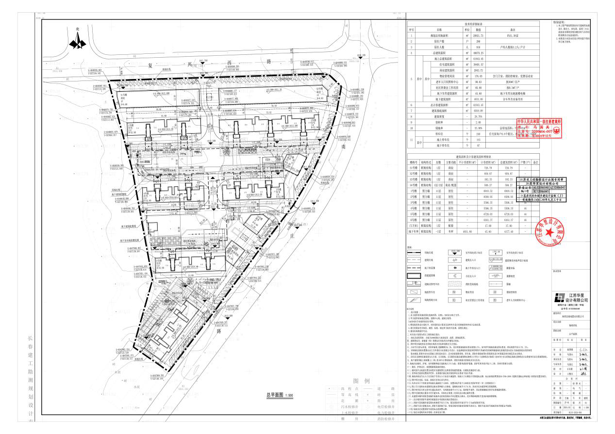
锦绣君悦房地产开发项目,建设内容为总建筑面积46675.25平方米。地上总建筑面积41843.45平方米,(住宅建筑面积39401.57平方米,商业及配套建筑面积2441.88平方米)地下总建筑面积4831.80平方米,(含地下车库及设备用房)。
1号住宅6918.52㎡,2号住宅8588.95㎡,3号住宅5506.35㎡,4号住宅5506.35㎡,5号住宅6720.03㎡,6号住宅6161.37㎡ ;S1号商业726.79㎡,S2号商业959.87㎡,S3号商业192.35㎡,S4号商业\配套500.27㎡(其中商业164.71㎡,物管(含门卫室2、消防室、党员活动室)159.03㎡,老年人日间照料中心90.63㎡,社区用房85.9㎡),门卫室1为17.00㎡,地下车库出地面楼电梯45.6㎡;地下车库总建筑面积4831.80㎡(含车库及设备用房)。该项目经审批于2024年4月29日核发了建设用地规划许可证、2024年5月9日核发了建设工程规划许可证,特此公示。



各省区市政府网站
自治区各部门网站
中卫市各部门网站