发展规划
首页 > 政府信息公开 > 法定主动公开内容 > 规划计划 > 发展规划
| 索引号 |
640522009/2026-00133 |
文号 |
|
生成日期 |
2026-04-23 16:29:08 |
| 公开方式 |
主动公开 |
所属机构 |
海原县自然资源局 |
责任部门 |
海原县自然资源局 |
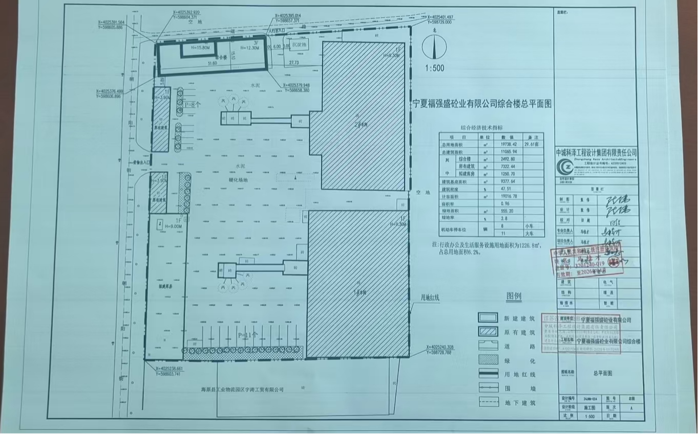
根据《中华人民共和国城乡规划法》等相关法律法规要求,为了加强城乡规划管理,提高规划透明度,维护市民对城乡规划的知情权、监督权,同时提高公众参与度,现将《宁夏福强盛砼业有限公司搅拌站办公楼建设项目》规划方案予以公示。
项目情况介绍:本项目坐落于海原县海兴开发区宁夏福强盛砼业有限公司院内。新建综合楼为框架结构,地上三层、局部四层,建筑面积2492.8㎡,建筑高度15.8m,基底面积634.68㎡。
建设单位:宁夏福强盛砼业有限公司
公示单位:海原县自然资源局
公示方式:海原县政府网站
联系电话:0955-4011498
公示日期:2026年4月23日—2026年4月29日


相关链接
国家及部委网站
各省区市政府网站
自治区各部门网站
宁夏各市县政府网站
中卫市各部门网站