| 索引号 | 000014349640522009/2025-00332 | 文号 | 生成日期 | 2025-09-19 15:42:12 | |
|---|---|---|---|---|---|
| 公开方式 | 主动公开 | 所属机构 | 海原县自然资源局 | 责任部门 | 海原县自然资源局 |
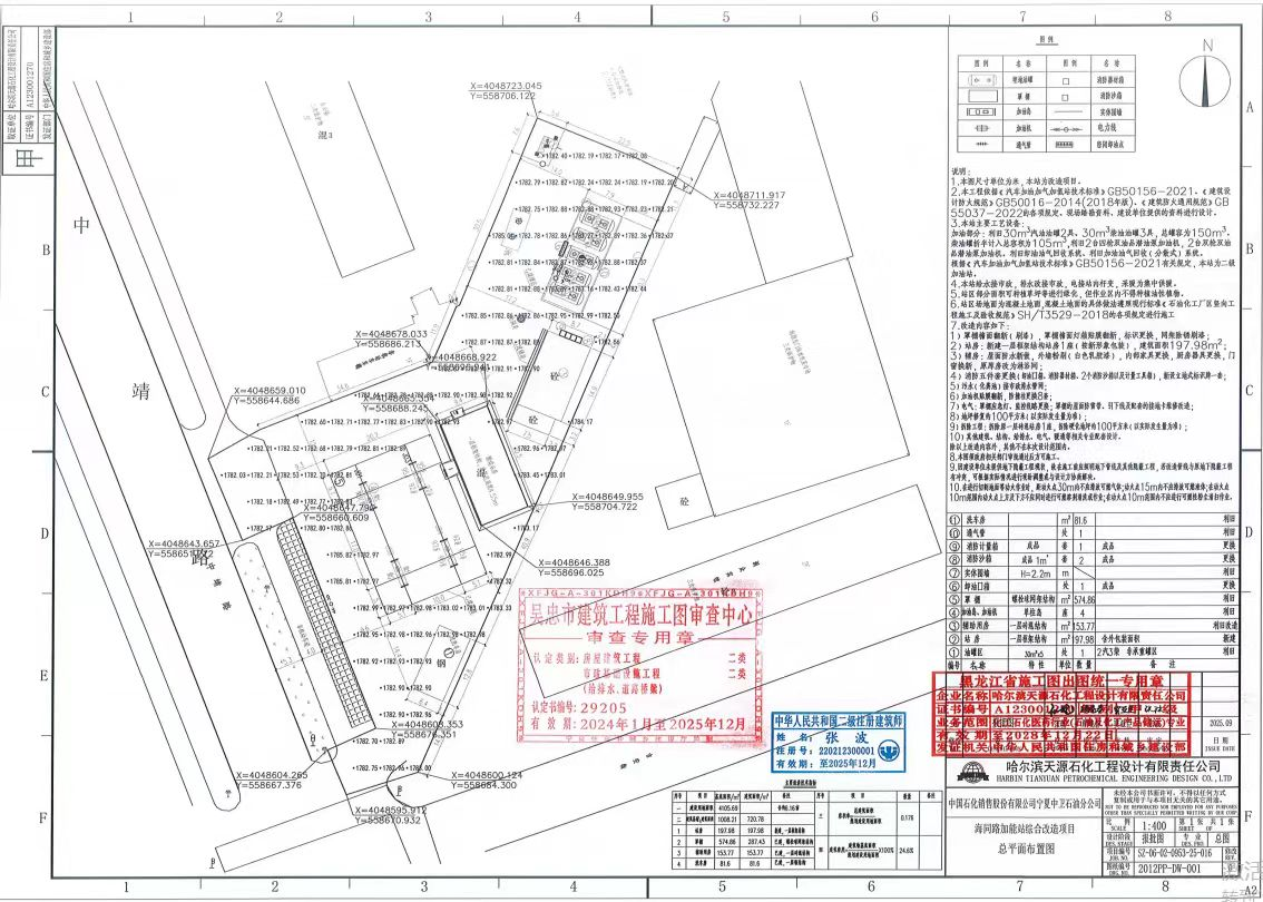
根据《中华人民共和国城乡规划法》等相关法律法规要求,为了加强城乡规划管理,提高规划透明度,维护市民对城乡规划的知情权、监督权,同时提高公众参与度,现将《中国石化销售股份有限公司宁夏中卫石油分公司海原海同路加油站站房拆除重建项目》规划方案予以公示。
项目情况介绍:项目位于海原县城中静路与吉安巷东北侧 (原中石化海同路加油站院内),建设内容为新建站房建筑面积为197.98平方米,地上一层框架结构,建筑总高度为4.55米。
建设单位:中国石化销售股份有限公司宁夏中卫石油分公司
公示单位:海原县自然资源局
公示方式:海原县政府网站
联系电话:0955-4011498
公示日期:2025年9月19日-2025年9月25日




各省区市政府网站
自治区各部门网站
中卫市各部门网站